Winchester Va Tax Assessment . downtown primary assessment district: find information on current tax assessments, tax rates, tax relief programs, and online tasks for real estate in frederick county,. the commissioner of the revenue's office is responsible for the administration of the following local taxes: real estate taxes are assessed as of january first each year by the commissioner of the revenue’s office and billed semi. explore the tax parcel mapping of winchester, va with this interactive arcgis application. enter an address, owner name, tax map, account #, or vision pid to search for a property $0.23 per $100 of assessed value: real estate assessments in frederick county, va are taxed at 100% of fair market value. search and view property information, assessment, and tax data in winchester with this interactive map application.
from www.yelp.com
enter an address, owner name, tax map, account #, or vision pid to search for a property downtown primary assessment district: real estate taxes are assessed as of january first each year by the commissioner of the revenue’s office and billed semi. real estate assessments in frederick county, va are taxed at 100% of fair market value. explore the tax parcel mapping of winchester, va with this interactive arcgis application. find information on current tax assessments, tax rates, tax relief programs, and online tasks for real estate in frederick county,. $0.23 per $100 of assessed value: the commissioner of the revenue's office is responsible for the administration of the following local taxes: search and view property information, assessment, and tax data in winchester with this interactive map application.
TRAINOR CONSULTING Winchester, Virginia Tax Services Phone Number
Winchester Va Tax Assessment explore the tax parcel mapping of winchester, va with this interactive arcgis application. downtown primary assessment district: enter an address, owner name, tax map, account #, or vision pid to search for a property real estate taxes are assessed as of january first each year by the commissioner of the revenue’s office and billed semi. the commissioner of the revenue's office is responsible for the administration of the following local taxes: real estate assessments in frederick county, va are taxed at 100% of fair market value. find information on current tax assessments, tax rates, tax relief programs, and online tasks for real estate in frederick county,. search and view property information, assessment, and tax data in winchester with this interactive map application. $0.23 per $100 of assessed value: explore the tax parcel mapping of winchester, va with this interactive arcgis application.
From www.financestrategists.com
Find the Best Tax Preparation Services in Winchester, VA Winchester Va Tax Assessment find information on current tax assessments, tax rates, tax relief programs, and online tasks for real estate in frederick county,. the commissioner of the revenue's office is responsible for the administration of the following local taxes: $0.23 per $100 of assessed value: real estate taxes are assessed as of january first each year by the commissioner of. Winchester Va Tax Assessment.
From nextdoor.com
Veterans Subs Winchester, VA Nextdoor Winchester Va Tax Assessment real estate assessments in frederick county, va are taxed at 100% of fair market value. the commissioner of the revenue's office is responsible for the administration of the following local taxes: search and view property information, assessment, and tax data in winchester with this interactive map application. find information on current tax assessments, tax rates, tax. Winchester Va Tax Assessment.
From fill.io
Fill Free fillable forms City of Winchester Winchester Va Tax Assessment real estate taxes are assessed as of january first each year by the commissioner of the revenue’s office and billed semi. find information on current tax assessments, tax rates, tax relief programs, and online tasks for real estate in frederick county,. the commissioner of the revenue's office is responsible for the administration of the following local taxes:. Winchester Va Tax Assessment.
From view.publitas.com
My publications 2023_2024 Winchester Virginia Visitors Guide Page 6 Winchester Va Tax Assessment find information on current tax assessments, tax rates, tax relief programs, and online tasks for real estate in frederick county,. $0.23 per $100 of assessed value: downtown primary assessment district: real estate assessments in frederick county, va are taxed at 100% of fair market value. real estate taxes are assessed as of january first each year. Winchester Va Tax Assessment.
From www.timeanddate.com
Hourly forecast for Winchester, Virginia, USA Winchester Va Tax Assessment find information on current tax assessments, tax rates, tax relief programs, and online tasks for real estate in frederick county,. downtown primary assessment district: enter an address, owner name, tax map, account #, or vision pid to search for a property real estate taxes are assessed as of january first each year by the commissioner of. Winchester Va Tax Assessment.
From www.templateroller.com
City of Winchester, Virginia Certificate of Occupancy Form Fill Out Winchester Va Tax Assessment downtown primary assessment district: the commissioner of the revenue's office is responsible for the administration of the following local taxes: real estate taxes are assessed as of january first each year by the commissioner of the revenue’s office and billed semi. explore the tax parcel mapping of winchester, va with this interactive arcgis application. $0.23. Winchester Va Tax Assessment.
From mapsforyoufree.blogspot.com
Frederick County Va Tax Map Maping Resources Winchester Va Tax Assessment real estate taxes are assessed as of january first each year by the commissioner of the revenue’s office and billed semi. find information on current tax assessments, tax rates, tax relief programs, and online tasks for real estate in frederick county,. explore the tax parcel mapping of winchester, va with this interactive arcgis application. search. Winchester Va Tax Assessment.
From www.yelp.com
LIBERTY TAX Updated June 2024 1015 Berryville Ave, Winchester Winchester Va Tax Assessment the commissioner of the revenue's office is responsible for the administration of the following local taxes: search and view property information, assessment, and tax data in winchester with this interactive map application. real estate taxes are assessed as of january first each year by the commissioner of the revenue’s office and billed semi. real estate assessments. Winchester Va Tax Assessment.
From www.pinterest.com
Frederick County, Virginia, Map, 1911, Rand McNally, Winchester Winchester Va Tax Assessment downtown primary assessment district: the commissioner of the revenue's office is responsible for the administration of the following local taxes: real estate taxes are assessed as of january first each year by the commissioner of the revenue’s office and billed semi. search and view property information, assessment, and tax data in winchester with this interactive map. Winchester Va Tax Assessment.
From www.facebook.com
Integrity Home Mortgage Corporation Winchester VA Winchester Va Tax Assessment enter an address, owner name, tax map, account #, or vision pid to search for a property downtown primary assessment district: explore the tax parcel mapping of winchester, va with this interactive arcgis application. $0.23 per $100 of assessed value: the commissioner of the revenue's office is responsible for the administration of the following local. Winchester Va Tax Assessment.
From www.neilsberg.com
Winchester, VA Median Household 2024 Update Neilsberg Winchester Va Tax Assessment real estate assessments in frederick county, va are taxed at 100% of fair market value. downtown primary assessment district: enter an address, owner name, tax map, account #, or vision pid to search for a property the commissioner of the revenue's office is responsible for the administration of the following local taxes: explore the tax. Winchester Va Tax Assessment.
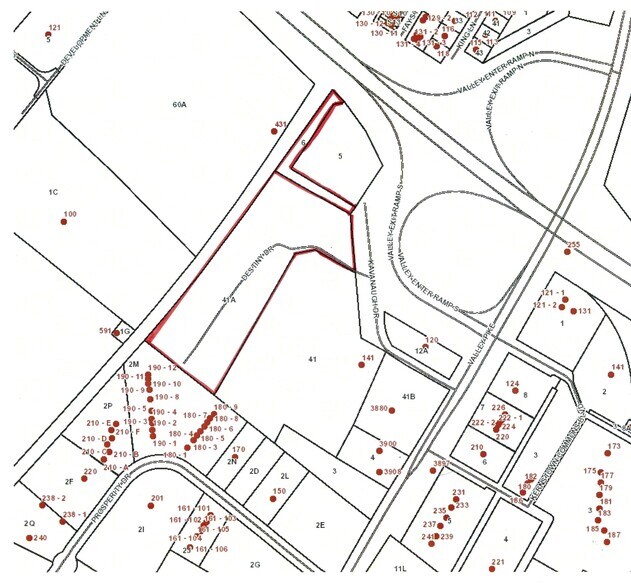
From www.loopnet.com
0 Kavanaugh dr, Winchester, VA 22602 0 Kavanaugh Drive Winchester Va Tax Assessment enter an address, owner name, tax map, account #, or vision pid to search for a property the commissioner of the revenue's office is responsible for the administration of the following local taxes: search and view property information, assessment, and tax data in winchester with this interactive map application. $0.23 per $100 of assessed value: find. Winchester Va Tax Assessment.
From www.facebook.com
Integrity Residential Services Winchester VA Winchester Va Tax Assessment explore the tax parcel mapping of winchester, va with this interactive arcgis application. downtown primary assessment district: real estate assessments in frederick county, va are taxed at 100% of fair market value. $0.23 per $100 of assessed value: the commissioner of the revenue's office is responsible for the administration of the following local taxes: Web. Winchester Va Tax Assessment.
From www.winchestersun.com
Tax time AARP helps hundreds with taxes each year Winchester Sun Winchester Va Tax Assessment search and view property information, assessment, and tax data in winchester with this interactive map application. $0.23 per $100 of assessed value: downtown primary assessment district: real estate taxes are assessed as of january first each year by the commissioner of the revenue’s office and billed semi. enter an address, owner name, tax map, account #,. Winchester Va Tax Assessment.
From stories.opengov.com
1d. Winchester OBB Org Chart Winchester Va Tax Assessment $0.23 per $100 of assessed value: explore the tax parcel mapping of winchester, va with this interactive arcgis application. real estate taxes are assessed as of january first each year by the commissioner of the revenue’s office and billed semi. the commissioner of the revenue's office is responsible for the administration of the following local taxes:. Winchester Va Tax Assessment.
From www.linkedin.com
City of Winchester, Virginia Local Government on LinkedIn We are now Winchester Va Tax Assessment search and view property information, assessment, and tax data in winchester with this interactive map application. real estate taxes are assessed as of january first each year by the commissioner of the revenue’s office and billed semi. explore the tax parcel mapping of winchester, va with this interactive arcgis application. $0.23 per $100 of assessed value:. Winchester Va Tax Assessment.
From www.niche.com
2021 Best Places to Live in Winchester City County, Niche Winchester Va Tax Assessment downtown primary assessment district: search and view property information, assessment, and tax data in winchester with this interactive map application. find information on current tax assessments, tax rates, tax relief programs, and online tasks for real estate in frederick county,. explore the tax parcel mapping of winchester, va with this interactive arcgis application. real. Winchester Va Tax Assessment.
From mavink.com
Winchester Street Map Winchester Va Tax Assessment search and view property information, assessment, and tax data in winchester with this interactive map application. real estate taxes are assessed as of january first each year by the commissioner of the revenue’s office and billed semi. enter an address, owner name, tax map, account #, or vision pid to search for a property $0.23 per $100. Winchester Va Tax Assessment.